Tropical Cyclone Luana

As night falls, residents of Kimberley brace themselves for the wild weather unleashed by Tropical Cyclone Luana. The cyclone made its presence known when it crossed the coast north of Broome around 2 p.m. [AWST], bringing with it a mix of intense winds and heavy rains.

Upon making landfall at the Dampier Peninsula, Luana was classified as a Category 2 system. This status comes with the threat of a significant storm surge, raising concerns for those in its path.

In the aftermath, Lombadina, situated north of Broome, has already experienced the cyclone’s ferocity, with wind gusts reaching up to 106 km/h. The area has also been drenched in over 100 millimetres of rain since the stroke of midnight.

Tropical Cyclone Luana
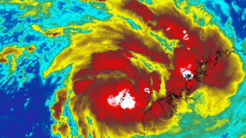
Tropical Cyclone Luana crossed the coast north of Broome this afternoon as a Category 2 system, keeping Kimberley residents on high alert overnight.(Weatherzone)

By tonight, the cyclone is expected to position itself to the west of Derby. This timing coincides with extremely high tides, potentially reaching 11 meters, prompting residents to remain vigilant.

Derby resident Chris shared with 9News the proactive measures being taken by emergency services, saying, “The SES has been really good about putting out sandbags for people and informing people about what might happen if you live a bit closer to the marsh.”

As Luana continues its inland trajectory over the next 48 hours, the Bureau of Meteorology has issued warnings of possible heavy rainfall, estimating between 100 to 200 millimetres per day. Such forecasts underscore the importance of preparedness and caution for those in the region.

Tropical Cyclone Luana is expected to weaken to a Category 1 storm overnight but flood warnings are still in place for north and west Kimberley rivers, with residents advised to keep an eye on the warnings and have their cyclone kits ready.

You May Also Like

Pete Hegseth Raises Alarm Over Chinese Military’s Impact on Pacific Power Dynamics

IN BRIEF Hegseth said China’s military build up and expansion could “unravel”…
The capture of Beaufort castle near the city of Nabatiyeh came after days of intense fighting and airstrikes

Israeli Forces Secure Key Fortress in Lebanon Conflict

Israeli troops have captured a strategic mountain topped with a Crusader-built castle…

US Poised to Resume Military Action Against Iran Amid Ceasefire Deal Uncertainty

IN BRIEF The draft agreement will extend the ceasefire and allow shipping…

Unveiling the Legacy: Why Football Tracksuits Transcend Fashion and Define Eras

Neal Corcoran arrived from Ireland in 1991 wearing an Ireland O’Neills ‘Italia…
Rugby legend Howlett – a member of the Munster team that won the 2007/2008 Heineken Cup and the All Blacks’ top try scorer – held the post as the club’s head of commercial and marketing for two years before returning to New Zealand in 2019

Doug Howlett’s Charity Funds Under Scrutiny: Uncovering Connections to His Business and a Limerick Social Media Platform

The Irish Mail on Sunday has exposed that Doug Howlett, a celebrated…

Melbourne Police Hunt for Suspect in Double Stabbing Incident

A man is currently evading authorities following a dramatic series of events…

Socceroos Stumble in Pre-World Cup Friendly: Mexico Clinches Narrow 1-0 Victory

Stay informed about global happenings with our reliable updates. Receive complimentary daily…
Angus Taylor has issued a rallying cry at the final day of the federal Liberal Council in Melbourne.

Taylor Ignites Enthusiasm Among Party Loyalists Following Abbott’s Presidential Tenure

Angus Taylor has issued a rallying cry at the final day of…
The fight began after spectators entered the field of play at Amour Park.

Individual Faces Charges Following Intense Altercation at Sydney Soccer Match

A man has been charged following a chaotic altercation at a soccer…
One Nation Australia's most popular party in new poll

New Poll Reveals One Nation as Australia’s Leading Political Party

In a surprising political shake-up, recent polling data indicates that One Nation…
President Donald Trump dances at an event at a charter school in The Villages, Fla., Friday, May 1, 2026.

Trump Steps In as Headliner After Artists Withdraw from Festival

An upcoming celebration of America’s 250th anniversary – “The Great American State…
Professor Richard Scolyer's wife Dr Katie Nicholl shared this photo alongside an update as he continues to battle brain cancer.

Heartfelt Update: Professor Richard Scolyer’s Wife Shares Emotional Insights on His Ongoing Brain Cancer Fight

The renowned melanoma specialist and former Australian of the Year received a…