Hurricane Melissa is poised to unleash its fury on the Bahamas and Bermuda, bringing with it torrential rains, fierce winds, and the looming threat of flash floods as it barrels its way through the Caribbean.
Having already made its presence felt in eastern Cuba near Chivirico, Melissa touched down early Wednesday as a formidable Category 3 storm. Prior to this, it had swept across Jamaica, marking itself as one of the most powerful Atlantic hurricanes in recent history.
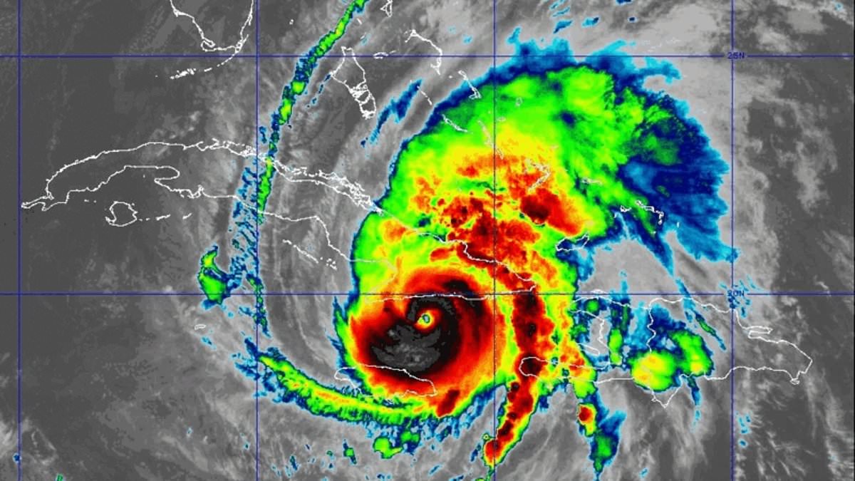
The tempest, with sustained winds clocking in at 115 mph during its second landfall, is now projected to veer towards the northeast, as per the latest updates from the National Hurricane Center.
Forecasts indicate that Melissa will hit the southeastern or central Bahamas on Wednesday as a potent Category 2 hurricane. Residents should brace for a perilous storm surge coupled with strong gales.
The Bahamas are expected to endure rainfall amounts reaching up to 10 inches, raising concerns among meteorologists about potential flash floods and landslides.
Continuing its path, Melissa is predicted to pick up pace over the open Atlantic by Wednesday evening, eventually impacting Bermuda as a Category 1 hurricane by Thursday.
Officials warned the ‘storm of the century’ could take days or even weeks to recover in the worst-hit parts of the region.
Melissa has already been blamed for seven deaths in the Caribbean, including three in Jamaica, three in Haiti and one in the Dominican Republic, where another person remains missing.

Melissa made landfall in eastern Cuba early Wednesday morning as a Category 3 storm. Pictured is a woman walking in a street in the the city of Santiago de Cuba on Tuesday before the hurricane struck

Melissa is one of the strongest Atlantic hurricanes on record. A US Air Force Reserve crew from the 53rd Weather Reconnaissance Squadron, known as the ‘Hurricane Hunters,’ flew through the eye of the storm on October 27, 2025 as Melissa was over the Caribbean

Hurricane Melissa will strike southeastern or central Bahamas as a strong Category 2 storm Wednesday, bringing a dangerous storm surge and strong winds. The storm is expected to continue northeast, accelerating over the open Atlantic Ocean, and strike Bermuda as a Category 1 hurricane on Thursday

Early Wednesday, Melissa had top sustained winds of 115 mph and was moving northeast at 12 mph. The hurricane was centered 60 miles west of Guantánamo, Cuba, and 230 miles south of the central Bahamas
The hurricane is about to leave Cuba and sweep through the Bahamas on Wednesday.
While the Turks and Caicos islands are not in Melissa’s direct path, forecasters warn the islands are in the path of its outer core.
The picturesque islands could battle tropical-storm conditions Wednesday, including hurricane-force gusts, dangerous surf, up to 3 inches of rain and floods.
Additional rainfall is expected in southern Hispaniola through Wednesday.
Early Wednesday, Melissa had top sustained winds of 115 mph and was moving northeast at 12 mph according to the National Hurricane Center in Miami.
The hurricane was centered 60 miles west of Guantánamo, Cuba, and 230 miles south of the central Bahamas.
Officials urged residents of Cuba to remain sheltered and warned preparations for the storm in the Bahamas ‘should be rushed to completion.’
Melissa struck Jamaica on Tuesday with top sustained winds of 185 mph. The storm was expected to generate a storm surge of up to 12 feet in the region and drop up to 20 inches of rain in parts of eastern Cuba.
As many as 735,000 Cuban residents heeded warnings from the nation’s president and emergency response crews as they fled their homes along the coast and mountainous regions in the path of the storm ahead of its arrival on Wednesday.

Hurricane Melissa made landfall in eastern Cuba near the city of Chivirico early Wednesday as a Category 3 storm. Hundreds of thousands of people had been evacuated to shelters in Cuba. A hurricane warning was in effect for the Cuban provinces of Granma, Santiago de Cuba, Guantánamo, Holguin and Las Tunas, as well as the southeastern and central Bahamas

Deadly hurricane Melissa leaves a trail of destruction in Jamaica as it hits Cuba with 120mph winds

Residents wait in the streets for food hours before Hurricane Melissa hits the city of Santiago de Cuba on Tuesday

A man looks at a fallen tree in St. Catherine, Jamaica, shortly before Hurricane Melissa made landfall on Tuesday
The hurricane could worsen Cuba’s severe economic crisis, which already has led to prolonged power blackouts, as well as fuel and food shortages.
‘There will be a lot of work to do. We know there will be a lot of damage,’ Cuban President Miguel Díaz-Canel said in a televised address, in which he assured that ‘no one is left behind and no resources are spared to protect the lives of the population.’
At the same time, he urged the population not to underestimate the power of Melissa, ‘the strongest ever to hit national territory.’
Provinces from Guantánamo – in the far east – to Camagüey, almost in the center of elongated Cuba, had already suspended classes on Monday.
As Cuba prepared for the storm, officials in Jamaica prepared to fan out Wednesday to assess the damage.
Extensive damage was reported in parts of Clarendon in southern Jamaica and in the southwestern parish of St. Elizabeth, which was ‘under water,’ said Desmond McKenzie, deputy chairman of Jamaica’s Disaster Risk Management Council.
The storm also damaged four hospitals and left one without power, forcing officials to evacuate 75 patients, McKenzie said.
More than half a million customers were without power as of late Tuesday as officials reported that most of the island experienced downed trees, power lines and extensive flooding.
The government said it hopes to reopen all of Jamaica’s airports as early as Thursday to ensure the quick distribution of emergency relief supplies.

Security cameras show downtown Kingston on Tuesday as Hurricane Melissa makes landfall in Jamaica. Melissa, the most powerful storm ever to hit the island nation, struck Jamaica with ferocious winds and torrential rains

Rain clouds are pictured after the passing of the tropical storm Melissa before becoming a hurricane in Barahona, Dominican Republic on Tuesday

A resident holds a piece of a roof before Hurricane Melissa hits the city of Santiago de Cuba, Cuba, on October 28, 2025
Still, AccuWeather Chief Meteorologist Jonathan Porter warned residents or tourists in western Jamaica ‘could be stranded for days or weeks’ as authorities look to begin the monumental cleanup effort.
‘It will be incredibly difficult for emergency aid and resources to reach the hardest hit areas,’ he added.
Jamaican Prime Minister Andrew Holness had echoed concerns about rescue efforts earlier on Tuesday, stating that while efforts could get underway immediately in eastern parts of the island, other ravaged communities may have to wait ‘a few more days.’
‘There is no infrastructure in the region that can withstand a Category 5,’ he said. ‘The question now is the speed of recovery. That’s the challenge.’
Based on the sheer scale of the devastation, Holness said ‘we are expecting there would be some loss of life.’
But Porter noted ‘the worst impacts from Melissa struck Jamaica during the daylight hours’ – a bleak contrast to the dangers Cuba faces overnight as the island is pummeled in the darkness throughout the early hours of Wednesday.
President Donald Trump vowed to offer assistance to Jamaica once cleanup efforts begin and the monumental task of rebuilding kick-starts.
‘On a humanitarian basis, we have to, so we’re watching it closely,’ he said. ‘We’re prepared to move. It’s doing tremendous damages as we speak.’
Trump also marveled at the storm’s strength. It was a Category 5 when it made landfall in Jamaica – the worst the island has ever seen.
‘I’ve never seen that before. I guess it can get that high, but I’ve never seen it,’ he said.
Error: Unset URL field

Men were pictured attempting to protect their cars and belongings ahead of Hurricane Melissa’s arrival in Cuba on Wednesday morning

Devastating images have emerged out of Jamaica as clean up efforts begin
Melissa reached tropical storm status last Tuesday and then became a hurricane on Saturday. Melissa then rapidly intensified into a Category 5 hurricane early Monday morning.
Climate scientists have linked warming ocean temperatures to hurricanes intensifying more quickly. Abnormally warm ocean waters of about 3.6 to 5.4 degrees Fahrenheit (2 to 3 degrees Celsius) above normal helped double Hurricane Melissa’s wind speed in less than 24 hours, scientists said.
Rapid intensification occurs when the maximum sustained winds of a tropical cyclone increase by at least 35 mph. Warmer temperatures also give hurricanes fuel to unleash more rain.
Scientists said Melissa is the fourth storm in the Atlantic this year to undergo rapid intensification.
Storms that ramp up so quickly complicate forecasting and make it harder for government agencies and nonprofits to plan for emergencies.
















