Double hurricanes threaten East Coast as Humberto rages to Category 5
Share this @internewscast.com

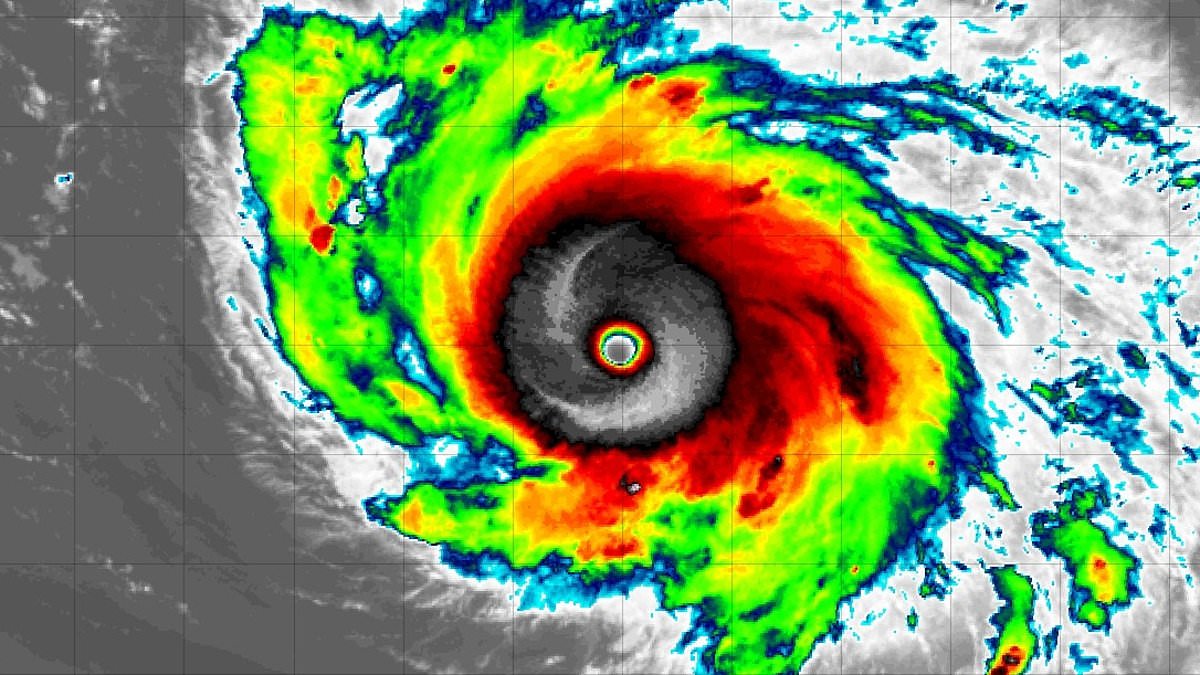
Hurricane Humberto has become a Category 5 storm with devastating winds reaching 160 mph as it nears the East Coast.

The National Hurricane Center (NHC) reported that a major storm intensified to the most severe category of a tropical cyclone by Saturday afternoon, accelerating by over 50 mph within just a day.

Humberto is anticipated to remain a significant hurricane until Tuesday, at which point it is forecasted to approach its nearest proximity to the US. This could result in powerful surf, flooding, and hazardous rip currents along the East Coast beaches.

Humberto’s sustained winds of 160 mph are deemed ‘catastrophic,’ with the potential to cause significant harm to structures, infrastructure, and the environment even if the storm stays offshore.

Matt Devitt from WINK News in Southwest Florida highlighted that this marks the first occurrence in 92 years of multiple Category 5 hurricanes occurring in consecutive years during the Atlantic hurricane season.

Humberto joined Hurricane Erin, which also did not make landfall this summer, but did brings coastal flooding to the mid-Atlantic.

However, forecasters are more concerned with another storm system now feared to strengthen into a hurricane right over the US mainland.

NHC has been tracking Tropical Depression Nine, which they believe will turn into Tropical Storm Imelda by Sunday.

Hurricane Humberto (pictured) strengthened into a Category 5 storm on Saturday afternoon

Hurricane Humberto (pictured) strengthened into a Category 5 storm on Saturday afternoon

Tropical Depression Nine, which would be named Imelda when it becomes a tropical storm, is projected to threaten the Southeast next week

Tropical Depression Nine, which would be named Imelda when it becomes a tropical storm, is projected to threaten the Southeast next week

On Saturday morning, ‘Imelda’ evolved into a tropical depression, which is the initial stage of a tropical cyclone. This stage is characterized by a low-pressure zone with thunderstorms and relatively minor winds.

Currently forming near the coast of Cuba with 35 mph sustained winds, meteorologists expect this storm to travel northward along the East Coast, affecting Florida, Georgia, and the Carolinas.

The latest forecast from NHC officials warn that Imelda will turn into a hurricane right as it approaches the Georgia and South Carolina coasts.

‘I can’t rule out a hurricane at landfall along with significant flooding as it could slow down or even stall,’ Devitt warned in a post on X on Friday.

Current spaghetti models for the storm show Imelda is expected to reach the Southeast coast and then join Hurricane Humberto out in the Atlantic, turning away from land at the land moment.

However, some storm tracks warn that a hurricane landfall in either Florida or Georgia is still a possibility.

A spaghetti model shows the different possible paths a tropical storm or hurricane might take, based on predictions from multiple weather computer programs.

Each line represents one model’s guess about where the storm could go. If the lines are close together, it means most models agree on the path, and the prediction is more certain.

Storm tracks show Imelda may make landfall at multiple points along the East Coast, from Florida to the Carolinas

Storm tracks show Imelda may make landfall at multiple points along the East Coast, from Florida to the Carolinas

Hurricane Humberto is projected to remain at sea and not make landfall in the US

Hurricane Humberto is projected to remain at sea and not make landfall in the US

Currently, meteorologists do not expect Hurricane Humberto to reach the US coastline, adding it will eventually turn out to sea like Hurricane Gabrielle did earlier in September. 

Meanwhile, AccuWeather senior meteorologist Chad Merrill told the Daily Mail that Imelda’s ‘legacy will be flooding.’

The veteran forecaster predicted that Imelda could severely impact the Carolinas next week, bringing ‘heavy rain and severe flooding’ to areas ravaged by Hurricane Helene a year ago.

Moreover, hurricane forecasters have been bracing for a potential Fujiwhara Effect, which takes place when two major cyclones get so close to each other that they start to interact.

The storms might rotate around a common point between them, like two hurricanes doing a slow dance.

In some cases, a stronger storm, like Humberto, might absorb a weaker one, creating an even more massive weather event than either storm would have been on their own.

If they’re similar in size and strength, however, they might repel each other and get thrown in completely different directions that forecasters won’t be able to project beforehand.

Share this @internewscast.com
You May Also Like

Unveiling the Black Dahlia Mystery: Groundbreaking DNA Evidence Emerges in Cold Case Investigation

Groundbreaking developments have emerged in the investigation of whether a single individual…

Shocking Revelations: Beloved Couple’s Hidden Scandal Shakes Quiet Community to Its Core

In the tranquil town of Godley, Texas, residents cherish their rural landscapes,…

Uncovering the Cancer Risk: Hidden Toxins in Your Daily Tea Routine

Every cup of tea might be infused with billions of plastic particles,…

Renowned Traffic Singer and British Rock Icon Dave Mason Passes Away at 79

Renowned musician Dave Mason, who gained fame as the lead vocalist and…

British Tourists Assault Ill German Vacationer in Thailand

In a startling incident, two British tourists engaged in a brawl with…

Hegseth Takes Action: Navy Secretary Dismissed Amid High-Profile Departure

Amid escalating tensions with Iran, particularly concerning the strategic Strait of Hormuz,…

Trump Issues Explosive Warning: Vows to Target Iran and Its Leadership

President Donald Trump has issued a stern warning, threatening to “blow up…

Veteran Actress Elsie Kelly, Known for ‘Benidorm’, Passes Away at 89 Following Illustrious Five-Decade Career

Elsie Kelly, the actress renowned for her portrayal of the quirky matriarch…

Revealing Chilling Texts from Deceased UFO-Linked Scientist Sparks Global Intrigue and Questions

The mysterious deaths and vanishings of a group of prominent scientists have…

Trump’s Blockade Falters as Iranian ‘Ghost Ships’ Navigate Past US Navy

The naval blockade enforced by Donald Trump at the Strait of Hormuz…

Proposal Emerges for London Residents to Apply for £72K-a-Year Tube Driver Positions

Advocates are urging Transport for London to dismantle the perceived stronghold that…

Reality TV Star Kim Zolciak’s Former Partner ‘Big Poppa’ Passes Away at 68: A Look Back at Their Controversial Relationship

Lee Najjar, famously known as ‘Big Poppa’ from Bravo’s “The Real Housewives…