Cyclone Errol is forecast to make landfall on Good Friday.
Share this @internewscast.com

A punk rock icon and a fermented Japanese rice have helped inspire the names of the next tropical cyclones in Australia.

The Bureau of Meteorology has released the new names ahead of next month’s start of the storm season, which runs until late April, reports weather forecasting site Weatherzone.

The next six months has the potential for nine to 11 tropical cyclones, which is about average for Australia.

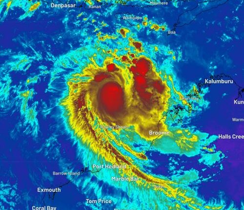
Cyclone Errol is forecast to make landfall on Good Friday.
Cyclone Errol impacted Western Australia earlier this year..(Weatherzone)

A handful of those can be expected to reach severe level, categorised by meteorologists as level three or stronger.

The upcoming tropical cyclone is set to be named Fina, with others in line including Iggy, reminiscent of the iconic musician Iggy Pop, and Koji, a type of rice grain used in Miso production.

The names progress in alphabetical order and switch between male and female. The 11 updated names are: Fina, Grant, Hayley, Iggy, Jenna, Koji, Launa, Mitchell, Narelle, Oran, and Peta.

Australia’s tropical cyclones have been named by the bureau since the mid 1960s.

Initially, the cyclones were only given female names – with the first official names being Audrey and Bessie in 1964.

Over the past 62 years of intense weather, some of Australia’s most devastating cyclones have been named Tracy, Larry, Olivia, Debbie, and Alfred.

Earlier this year, the bureau decided to change the name of a major tropical cyclone off northern Queensland from Anthony to Alfred.

The move was made to avoid confusion with Prime Minister Anthony Albanese ahead of May’s federal election.

Share this @internewscast.com
You May Also Like
Robert F Kennedy has doubled down on Donald Trump's incorrect maths.

Trump and Kennedy’s Baffling Math Claims: Unraveling the Controversial Calculations

The President of the United States has consistently asserted that his initiatives…
Ahead of the Budget delivery on Tuesday evening, Greens housing spokesman Max Chandler-Mather slammed the $9.3billion surplus as evidence of 'how little Labor cares about the housing crisis'

Budget 2024: Albo’s Challenger Unveils Key Oversight by Jim Chalmers

For the second consecutive year, Treasurer Jim Chalmers has announced a budget…

Woolworths Executive Announces Price Reductions Amid Evolving Inflationary Challenges

In brief: The supermarket giants are before Federal Court over accusations of…
Ed Sheeran's LOOP world tour got off to a flying start, raking in a staggering £5million per show during its opening leg

Ed Sheeran’s LOOP Tour: Unveiling the £5 Million Per Show Phenomenon!

Ed Sheeran’s LOOP world tour has started with remarkable success, earning an…

Australia Boosts Fuel Reserves to Pre-Middle East Conflict Levels

In brief: Australia’s fuel reserves are now greater than before the US-Israeli…
The Australian soldiers who fought epic battle in the 'forgotten war'

Heroic Australian Soldiers Recall Epic Battle in the Overlooked Korean War

Anzac Day falls 75 years after Australian soldiers fought a bloody battle…
Alexander Philogene and his uncle Chris Jarmer

Tragic Passing: 21-Year-Old Zander Succumbs to Sudden Illness Mid-Flight

Australians have been warned against a severe strain of meningococcal B circulating…
Michelle Stalimeros (pictured) grew up in a 'chaotic' home where alcohol was woven into family life

Weekend Wine Habit Triggered Blackouts and Anxiety, Straining Marriage; Reflecting on Three Years of Sobriety

At first glance, Michelle Stalimeros appeared far from someone struggling with alcohol.…
Treasurer Jim Chalmers handed down the Budget on Tuesday night, boasting of a $9.3 billion surplus driven by a strong labour market and increased commodity prices

Budget 2024 Unveiled: $300 Cash Boost for Australians, Student Debt Forgiveness, Tax Cuts, and New Travel Policies by Albanese Government

In a strategic move to garner voter support ahead of elections, the…
Emma Sleep mattress

Mattress Industry Leader Faces $15 Million Penalty for Deceptive Online Advertising

Mattress company Emma Sleep has been ordered to pay a $15 million…

UK Plans New Legislation to Prohibit Cigarette Sales for Those Born After 2008

In brief A rolling age ban means children and anyone born in…

Unpacking the Key Issues in the NDIS Overhaul

In Brief Roughly 160,000 Australians are set to lose access to the…