How 'strange, slow' Hurricane Melissa became such a monster
Share this @internewscast.com

Experts issued a stern warning that Hurricane Melissa had the potential to be devastating just hours before the formidable Category 5 storm struck Jamaica.

With ferocious winds peaking at 185 miles per hour (297 km/h), Melissa roared onto the island at approximately 1 pm ET, causing severe flooding, violent gusts, and dangerous mudslides in its wake.

The National Hurricane Center (NHC) in the United States confirmed that this storm has emerged as the most potent of the year globally.

Melissa’s arrival marks it as the most intense hurricane to impact Jamaica since record-keeping commenced in 1851.

Scientists cautioned that Melissa’s exceptionally slow advance—moving at just around five miles per hour (seven km/h)—means it will hover over Jamaica for an extended period.

The NHC forecasts anticipate that the storm could drench parts of the island with up to 40 inches (100 cm) of rain, potentially leading to widespread flooding.

At the same time, storm surges are expected to reach nine to 13 feet (2.7–3.9 metres) above ground level near where Melissa makes landfall.

Professor Liz Stephens, a meteorologist from the University of Reading, says: ‘Having now intensified to Category 5, slow–moving Hurricane Melissa has all the ingredients to be a catastrophic storm, with devastating storm–surge, extreme winds and unusually high rainfall accumulations.’

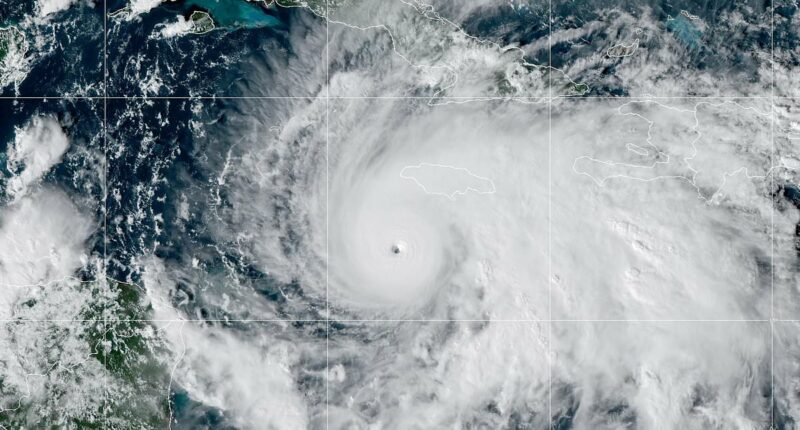
Hurricane Melissa (pictured) has the potential to cause massive destruction as it makes landfall in Jamaica today, scientists have warned.

Hurricane Melissa (pictured) has the potential to cause massive destruction as it makes landfall in Jamaica today, scientists have warned.

Over the past few days, Hurricane Melissa has been slowly moving through the Caribbean and steadily growing in intensity.

The storm reached Category 4 status on October 26, after its wind speeds accelerated by more than 70 miles per hour (112 km/h) in just one day.

The next day, the storm further intensified to reach Category 5 as it drifted over warm ocean waters.

Professor Hannah Cloke, a hydrologist from the University of Reading, told Daily Mail that Hurricane Melissa will ‘leave a deep and permanent scar across the whole region’.

She adds: ‘Melissa has been a strange, slow hurricane that has been hanging around in the Atlantic, growing stronger and stronger in bursts.

The storm has not yet made landfall in Jamaica, but has already been blamed for three storm-related deaths on the island. Pictured: Waves crash in the waterfront in Kingston, Jamaica

The storm has not yet made landfall in Jamaica, but has already been blamed for three storm–related deaths on the island. Pictured: Waves crash in the waterfront in Kingston, Jamaica 

Scientists say that Hurricane Melissa has the perfect conditions to cause major damage. It has spent multiple days growing in the Gulf of Mexico and is moving very slowly as it approaches land

Scientists say that Hurricane Melissa has the perfect conditions to cause major damage. It has spent multiple days growing in the Gulf of Mexico and is moving very slowly as it approaches land 

Where have evacuation orders been issued? 

  • Rocky Point, Clarendon
  • Portland Cottage, Clarendon
  • Old Harbour Bay, St Catherine
  • Riverton City, St Andrew
  • Port Royal, Kingston Harbour
  • New Haven, Kingston
  • Bull Bay, east of Kingston

‘This is one of those deadly scenarios that you prepare for but hope desperately will not come true. Those people sheltering on the island remain in great danger.’

Scientists believe that these strange growth spurts have been made more intense by human–caused climate change.

Hurricanes are essentially ‘convective heat engines’, meaning they are driven by the rise and fall of warm, moist air from the ocean.

The warmer the ocean is, the more energy a hurricane can gather and the more destruction it is capable of producing.

Professor Friederike Otto, a leading climate scientist from Imperial College London and head of World Weather Attribution, told Daily Mail: ‘The Gulf of Mexico has been very warm over the last months, in large part due to global warming, caused by the burning of fossil fuels, providing ideal conditions for hurricanes to become very intense.’

Analysis from the research group Climate Central suggests that unusually warm waters in the Gulf of Mexico were made up to 700 times more likely by climate change.

This study suggests that these warm waters, combined with overall tropical climate warming, increased Melissa’s wind speeds by about 10 miles per hour (16 km/h) and increased the potential damage by 50 per cent.

‘Every single hurricane in the North Atlantic that we studied over the years has become more intense, both with respect to wind speeds and associated rainfall, due to climate change,’ says Professor Otto.

At its current pace, scientists warn that Hurricane Melissa could linger over Jamaica for multiple days

At its current pace, scientists warn that Hurricane Melissa could linger over Jamaica for multiple days

The National Hurricane Centre predicts that the storm (pictured) could see as much as 40 inches (100 cm) of rain dropped over some parts of the island, triggering massive flooding

The National Hurricane Centre predicts that the storm (pictured) could see as much as 40 inches (100 cm) of rain dropped over some parts of the island, triggering massive flooding 

‘Melissa is no exception, but to quantify how much more intense we need to still do the study.’

Once Hurricane Melissa made landfall, the most immediate damage was caused by rapid flooding.

Experts say the storm surge, which is caused by low atmospheric pressure and friction between wind and the water, will likely be the deadliest component.

For example, during 2013’s Typhoon Haiyan 6,300 people died in Eastern Visayas, Philippines, mostly in a 16–foot (five–metre) storm surge.

Professor David Alexander, Emeritus Professor of Emergency Planning and Management at University College London, told Daily Mail: ‘Flooding damage will be extensive and very substantial. Fast–moving water will scour out the foundations of buildings and uproot trees.’

At the same time, Hurricane Melissa’s winds will be powerful enough to destroy buildings by ripping off the roof, even where metal brackets known as hurricane straps have been installed.

To make matters worse, Professor Alexander points out that major hurricanes often spawn multiple tornadoes when they hit land.

In Jamaica, powerful winds are already starting to cause significant disruption.

The storm has already dropped heavy rain in the Dominican Republic (pictured), where four people are believed to have been killed

The storm has already dropped heavy rain in the Dominican Republic (pictured), where four people are believed to have been killed 

Scientists warn that Jamaica's low-lying geography and small size make it particularly vulnerable to flooding from storm surges, often the deadliest part of a hurricane. Pictured: Fallen power lines in St Catherine Parish, Jamaica

Scientists warn that Jamaica’s low–lying geography and small size make it particularly vulnerable to flooding from storm surges, often the deadliest part of a hurricane. Pictured: Fallen power lines in St Catherine Parish, Jamaica

The wind speeds will be strong enough to destroy houses by tearing off roofs. Before the storm's arrival, some houses have already been severely damaged (pictured)

The wind speeds will be strong enough to destroy houses by tearing off roofs. Before the storm’s arrival, some houses have already been severely damaged (pictured) 

According to the NHC, Norman Manley International Airport in Kingston has reported wind speeds of 39 miles per hour (63 km/h) and gusts of 58 miles per hour (93 km/h).

More than 52,000 people have now been affected by power outages, according to the Jamaica Pubic Service, as the storm begins to batter national infrastructure.

Like many islands in the Caribbean, Jamaica is particularly vulnerable to the impacts of hurricanes due to its low–lying geography.

Dr Lina Speight, a meteorologist from the University of Oxford, told Daily Mail: ‘Jamaica is a small island, which means that there are limited safe areas.

‘Everywhere will be affected by strong winds and the majority of the population live in low–lying coastal areas, which will be affected by flooding.’

Jamaica is no stranger to tropical storms and is considered well–prepared compared to other islands in the region.

However, all the storms that Jamaica has faced in the past have been Category 3 hurricanes or smaller.

Experts are increasingly concerned that Hurricane Melissa may be more powerful than the island could be prepared to face.

Although Jamaica is considered well-prepared for hurricanes compared to some islands in the Caribbean, experts are concerned that Melissa may be too strong to properly prepare for. Pictured:  A man rides a bike ahead of the arrival of Hurricane Melissa

Although Jamaica is considered well–prepared for hurricanes compared to some islands in the Caribbean, experts are concerned that Melissa may be too strong to properly prepare for. Pictured:  A man rides a bike ahead of the arrival of Hurricane Melissa

Scientists warn that Hurricane Melissa has been made significantly more dangerous by climate change, which made abnormally warm waters in the Gulf of Mexico almost 700 times more likely

Scientists warn that Hurricane Melissa has been made significantly more dangerous by climate change, which made abnormally warm waters in the Gulf of Mexico almost 700 times more likely 

‘It is very hard for anyone to prepare for something that is an order of magnitude bigger than anything they have ever experienced before,’ says Dr Speight.

‘Buildings, infrastructure and disaster management plans have never been tested to this level before.’

And while Jamaica is wealthier than many of its neighbours, such as Haiti and the Dominican Republic on Hispanola Island, the country has significantly limited resources to prepare for and recover from the destruction to come.

However, scientists also warn that storms on the scale of Hurricane Melissa are likely to become more common in the future.

As climate change continues to increase average ocean surface temperatures and to make extreme heat events more intense, hurricanes will become stronger.

Professor Ralf Toumi, an expert on the connection between climate change and hurricanes, told Daily Mail: ‘We know that warmer oceans will sustain stronger storms, so there is a direct connection to climate change.’

Although the total number of hurricanes is not changing, major storms on the scale of Category 3 to Category 5 are becoming more frequent.

That means islands in the Caribbean will likely need to prepare for destruction on the scale of Hurricane Melissa again in the near future.

Hurricane Melissa: The latest update

As of 0900 UTC, the National Hurricane Centre (NHC) announced that Hurricane Melissa was located about 115 miles (180km) southwest of Kingston, Jamaica.

Melissa is moving toward the north–northeast near 5 mph (7 km/h) and is currently on track to hit Jamaica today. 

The storm is then expected to continue onwards to pass over southeastern Cuba on Wednesday morning, and the central Bahamas later on Wednesday.

Its maximum sustained winds were 175 miles per hour (280 km/h), making it a Category Five storm on the Saffir–Simpson wind scale.

However, wind speeds are expected to fluctuate as the storm approaches the island.  

Hurricane–force winds extend outward up to 30 miles (45 km) from the centre, and tropical–storm–force winds extend outward up to 195 miles (315 km).

The storm is expected to bring a maximum of 40 inches of rainfall to some parts of the island. 

This will be accompanied by a storm surge, expected to reach nine to 13 feet (2.7–3.9 metres) above ground level.

There is also a potential for significant storm surges in Cuba on Wednesday, with water levels potentially reaching seven to 11 feet (2.1–3.3 metres) above normal tide levels. 

Source: NHC 

Share this @internewscast.com
You May Also Like

Exclusive Insider Reveals Untold Truth Behind Lily Allen and David Harbour’s Relationship

In what seemed like a typical family outing, actor David Harbour was…

Meghan Reveals Archie and Lilibet’s Faces in Heartwarming Pumpkin Patch Video

In a recent video, Meghan Markle has unveiled some personal moments from…

Chris Evans and Alba Baptista Celebrate Arrival of Their First Child: All the Heartwarming Details Inside!

Chris Evans and his wife, Alba Baptista, are said to have welcomed…

Royal Drama: Was Prince Andrew Pressured to Leave by Prince William?

Prince William reportedly issued an ultimatum concerning the royal titles of Princesses…

David Foster, 75, and Katharine McPhee, 41, Step Out for a Stylish Dinner Date: Age-Defying Romance Shines

Over the weekend, renowned music producer David Foster, 75, appeared noticeably weary…

Iconic British Pub with Rich History Hits Market for Just £150,000 – A Unique Investment Opportunity!

Once infamous as one of the toughest pubs in Britain, The Wyndham…

Bill Maher Endorses Charlie Sheen’s Bold Solution to America’s Crime Epidemic

Actor Charlie Sheen caught Bill Maher off guard with a bold proposal…

Plus-Size Model Alleges Fat-Shaming by United Airlines Flight Attendant: Calls for Change in Airline Conduct

Tess Holliday, a renowned plus-sized model, blogger, and best-selling author, has expressed…

Unbelievable Detail in LA Airport Photo Leaves Visitors in Stitches – Can You Spot It?

A keen-eyed traveler at Los Angeles International Airport recently uncovered an unexpected…

Tragic Incident: Disney Park Sees Third Guest Fatality in Recent Weeks, Identified as Aspiring Referee

The recent tragic incident at Disney World has brought to light the…

Unmasking the Jokers: The Unexpected Twist in a Doorbell Prank Gone Viral

A chilling doorbell prank that had the police pouring over 100 hours…

Blue Ivy Carter Stuns with Uncanny Resemblance to Mom Beyoncé at Star-Studded Angel Ball

Blue Ivy Carter showcased her striking resemblance to her iconic mother, Beyoncé…