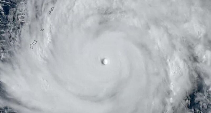
A powerful super typhoon is on a collision course with several remote U.S. islands in the Pacific, bringing heavy rain and tropical storm-force winds to Guam ahead of its arrival.
Super Typhoon Sinlaku is expected to sweep over the Northern Mariana Islands late Tuesday local time, according to the National Weather Service. The storm is predicted to bring widespread rain, flooding, and destructive winds that could lead to prolonged power outages.
Guam, a U.S. territory that hosts multiple American military bases and has a population of approximately 170,000, is not anticipated to suffer a direct impact. However, the island could still experience strong, damaging winds.















